
Veröffentlicht: 18.04.2025








































Heute Vormittag haben wir das Dorf Lomaloma auf der Insel Vanua Balavu besucht. Vanua Balavu ist eine kleine Insel die zu Fidschi gehört.
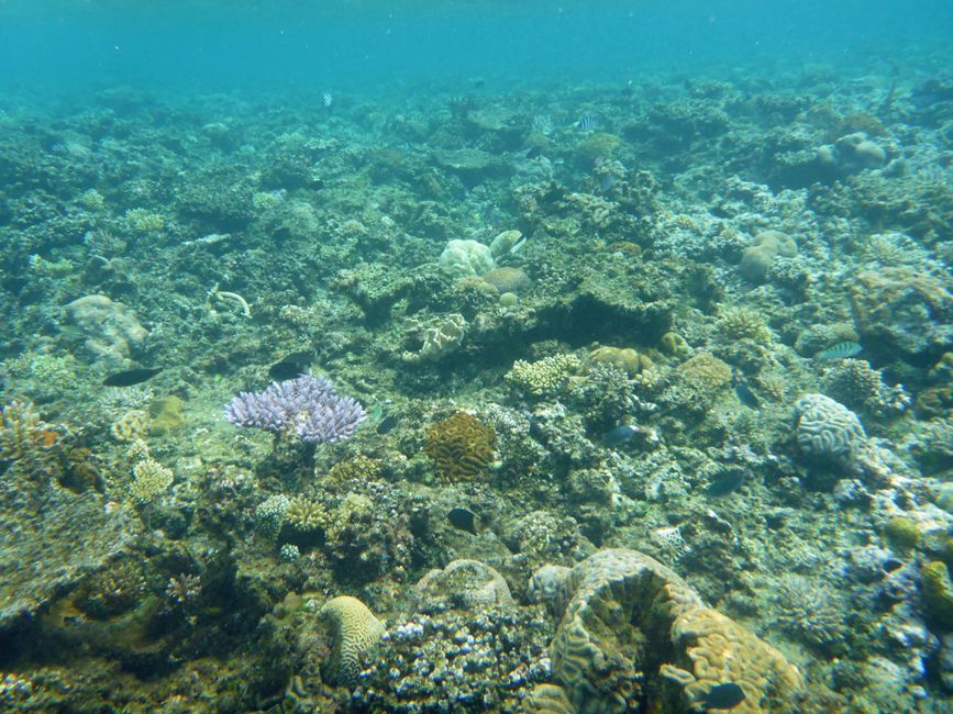
Die Insel Vanua Balavu und Nebeninseln sind umgeben von einem Korallenriff. Diese Lagune ist nicht tief, aber das Schiff konnte einfahren, aber nicht bis zum Ort selbst. Wir mussten recht weit mit den Zodiacs bis zum Dorf fahren. Das Wetter ist wie üblich, etwa 28°C und sehr feucht.
Im Dorf wurden wir freundlich mit Gesang und Darbietung und einer ersten Führung empfangen. Da es Karfreitag ist, haben wir zuerst einem Gottesdienst beigewohnt. Dieser war eher mit unseren Gottesdiensten als beispielsweise mit karibischen oder afrikanischen Gottesdiensten vergleichbar.
Danach gab nochmals Gesangsdarbietungen mit Tanz, Snacks und Erfrischungen.
Wir konnten das Dorf ansehen, es ist ebenfalls sehr grün und hat viele Bäche und Flüsschen. Man sieht noch Spuren von einem letztjährigen Zyklon, der viele Bäume entastet und Häuser schwer beschädigt hat. Die Einheimischen sind sehr freundlich und lassen sich gerne fotografieren. Das Dorf, wie alle kleinen Inseln von Fidschi, verlieren aber Einwohnende. Das Dorf hat etwa 200 Häuser, aber nur noch weniger als 200 Einwohnende.
Am Nachmittag sind wir in der Lagune schnorcheln gegangen und haben sehr schöne Korallen gesehen.
